the museum.
In death, insects retain most of their beauty when properly preserved. However, most is not all. Pigments break down and color fades, moisture evaporates and bodies shrivel. True hoppers (Hemiptera, suborder Auchenorrhyncha) are no exception to these phenomena. This series acts as the drawers of my personal collection come to life. Clicking on an image redirects you to the iNaturalist observation associated with that individual specimen.
Do not make identifications based on these photographs alone as many of the species listed here cannot be diagnosed without a specimen.
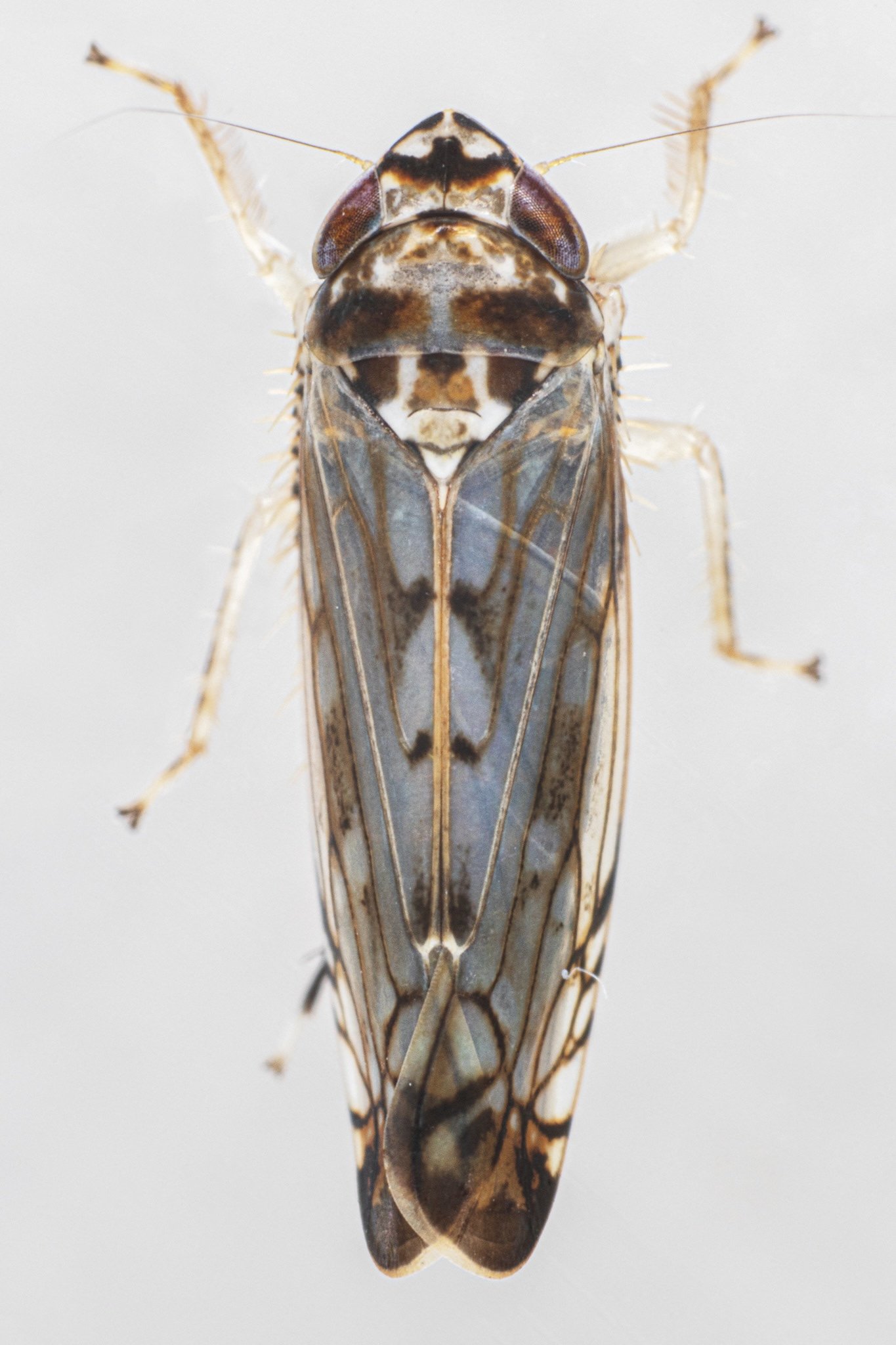
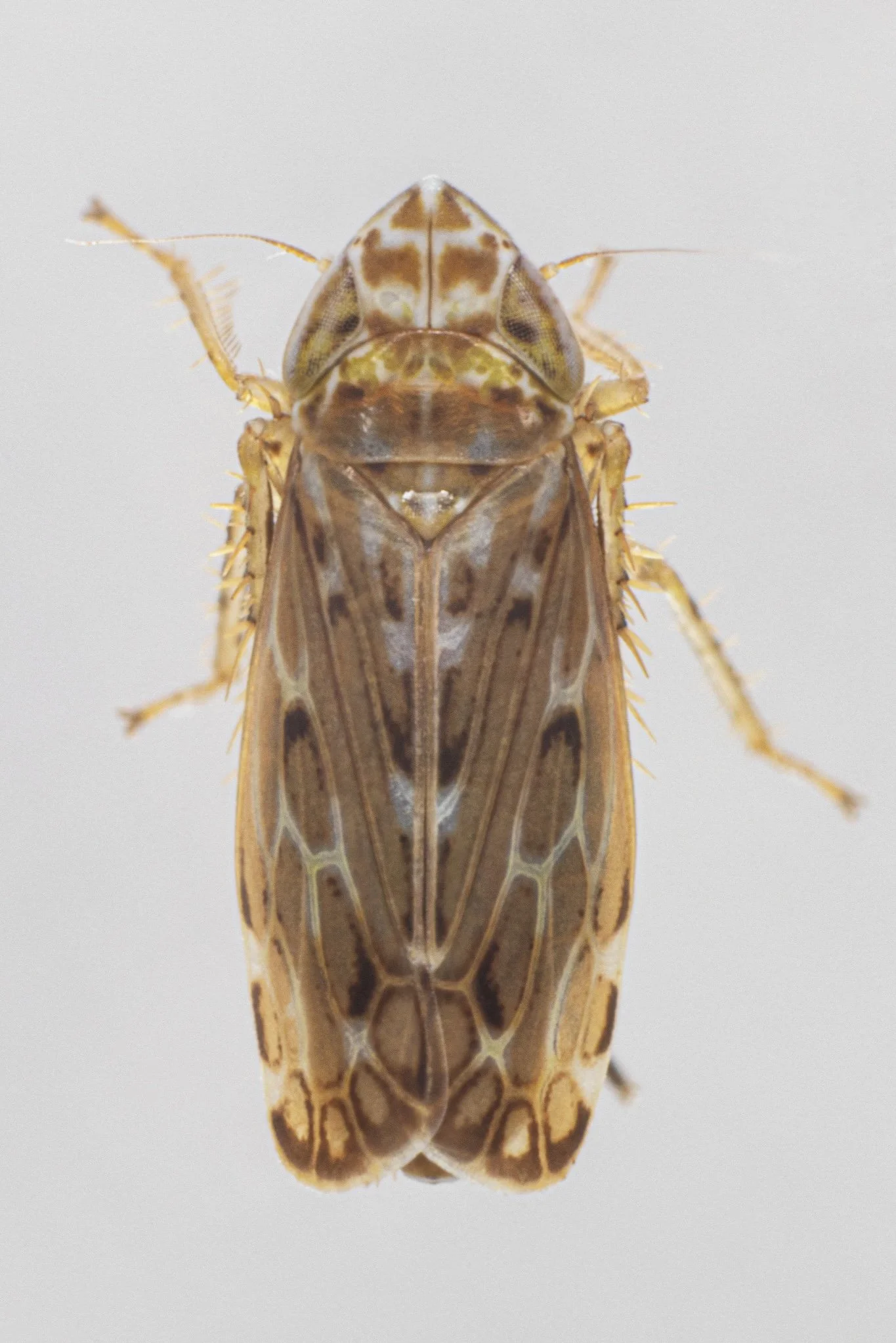
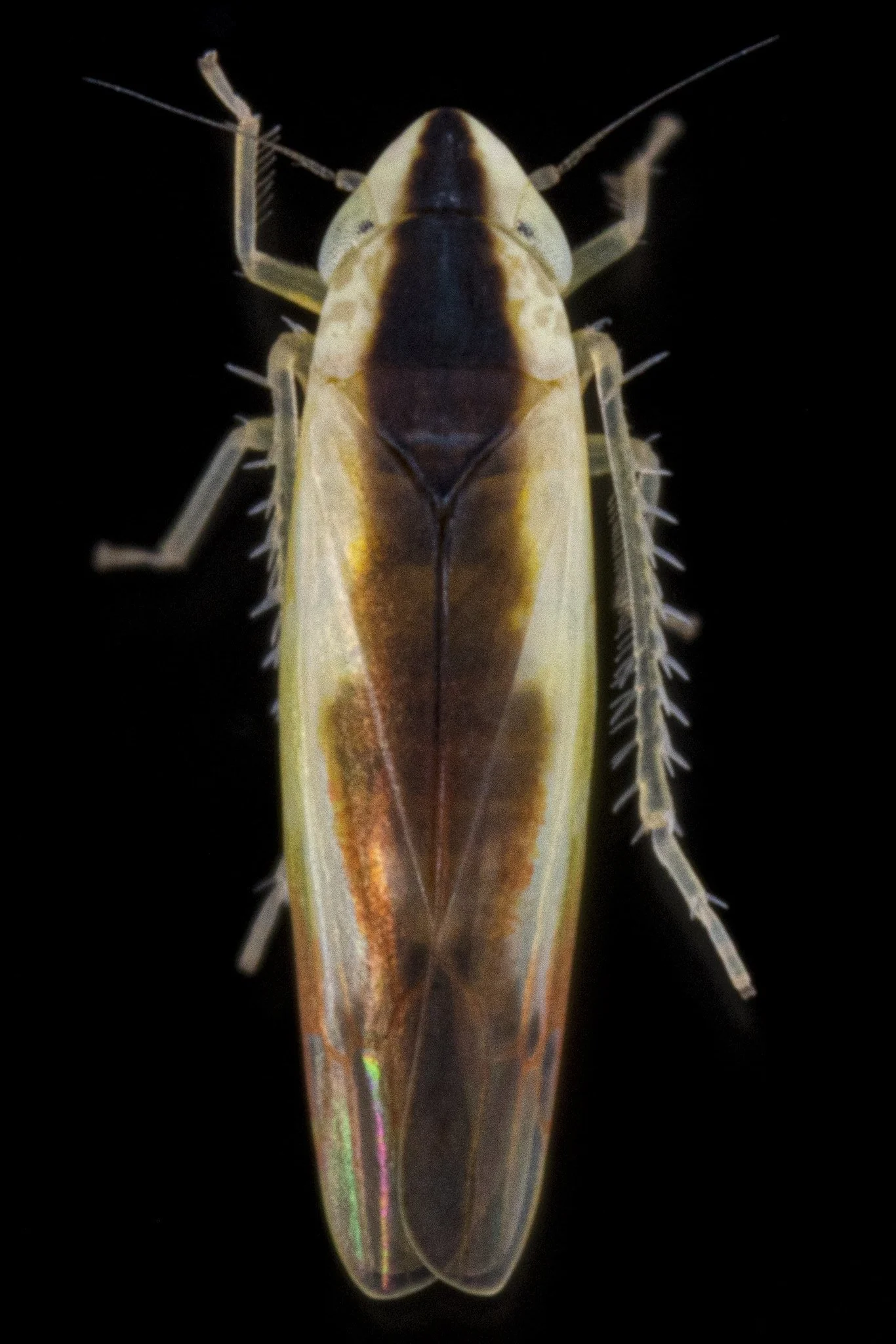
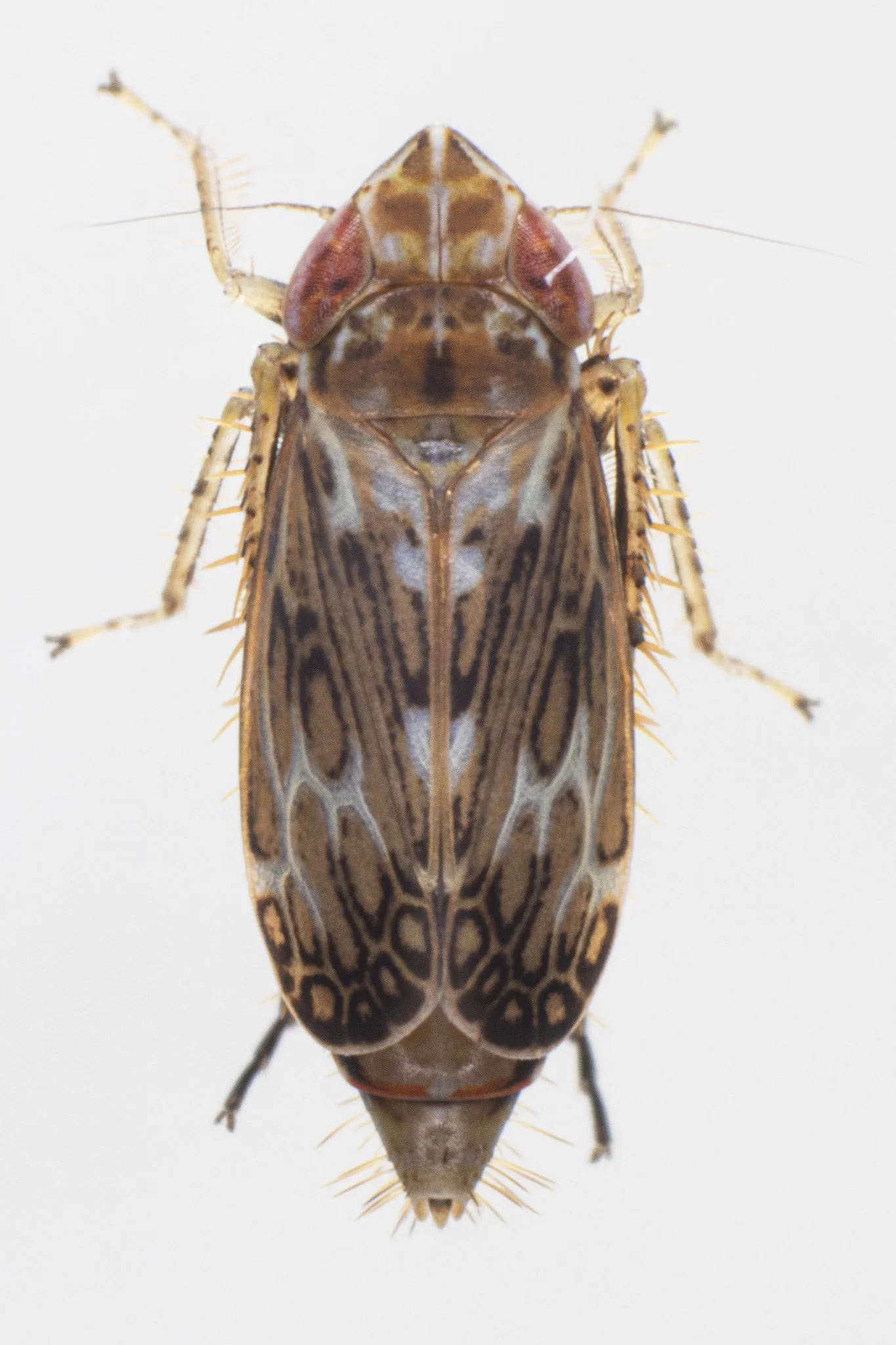
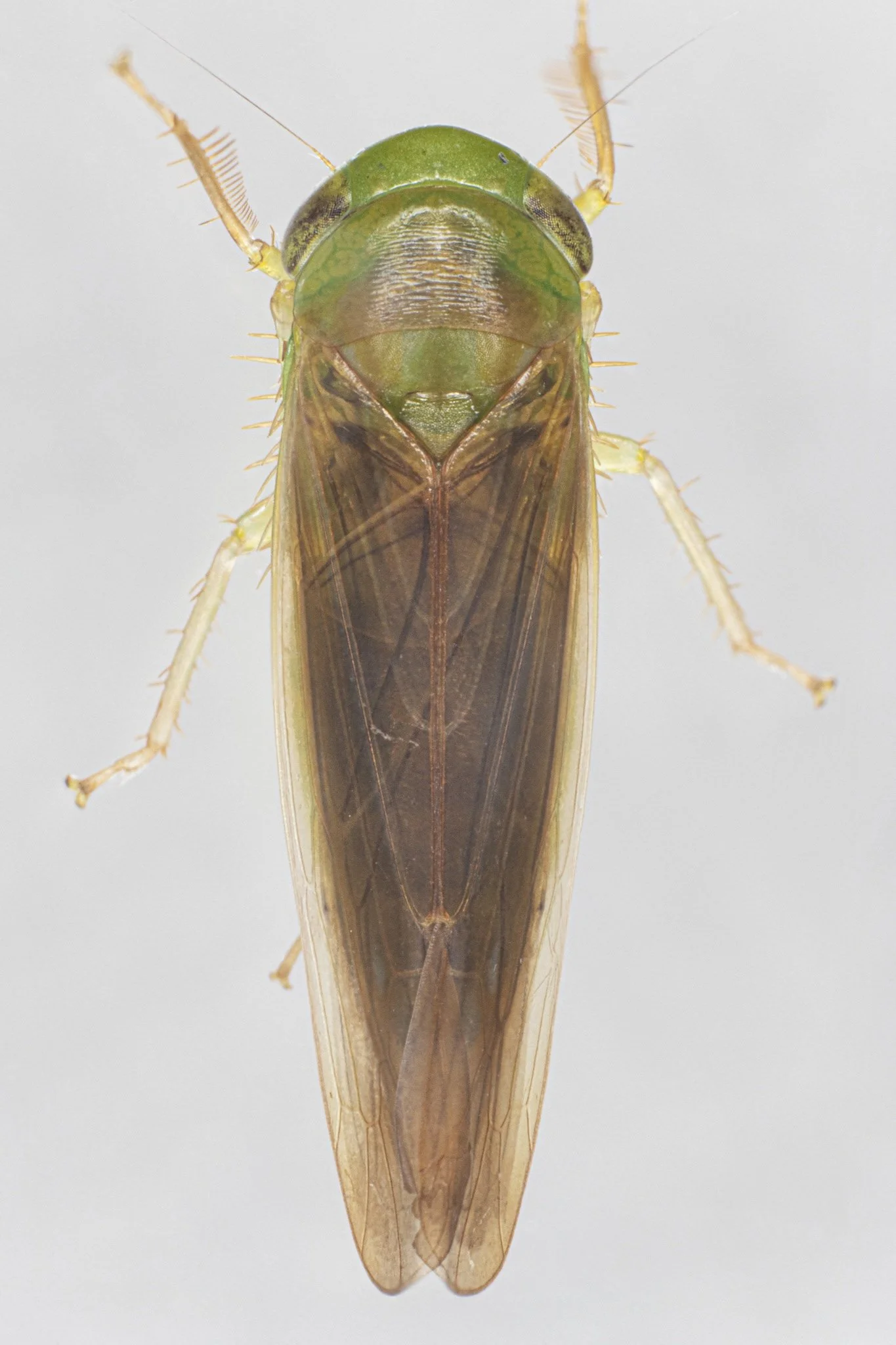
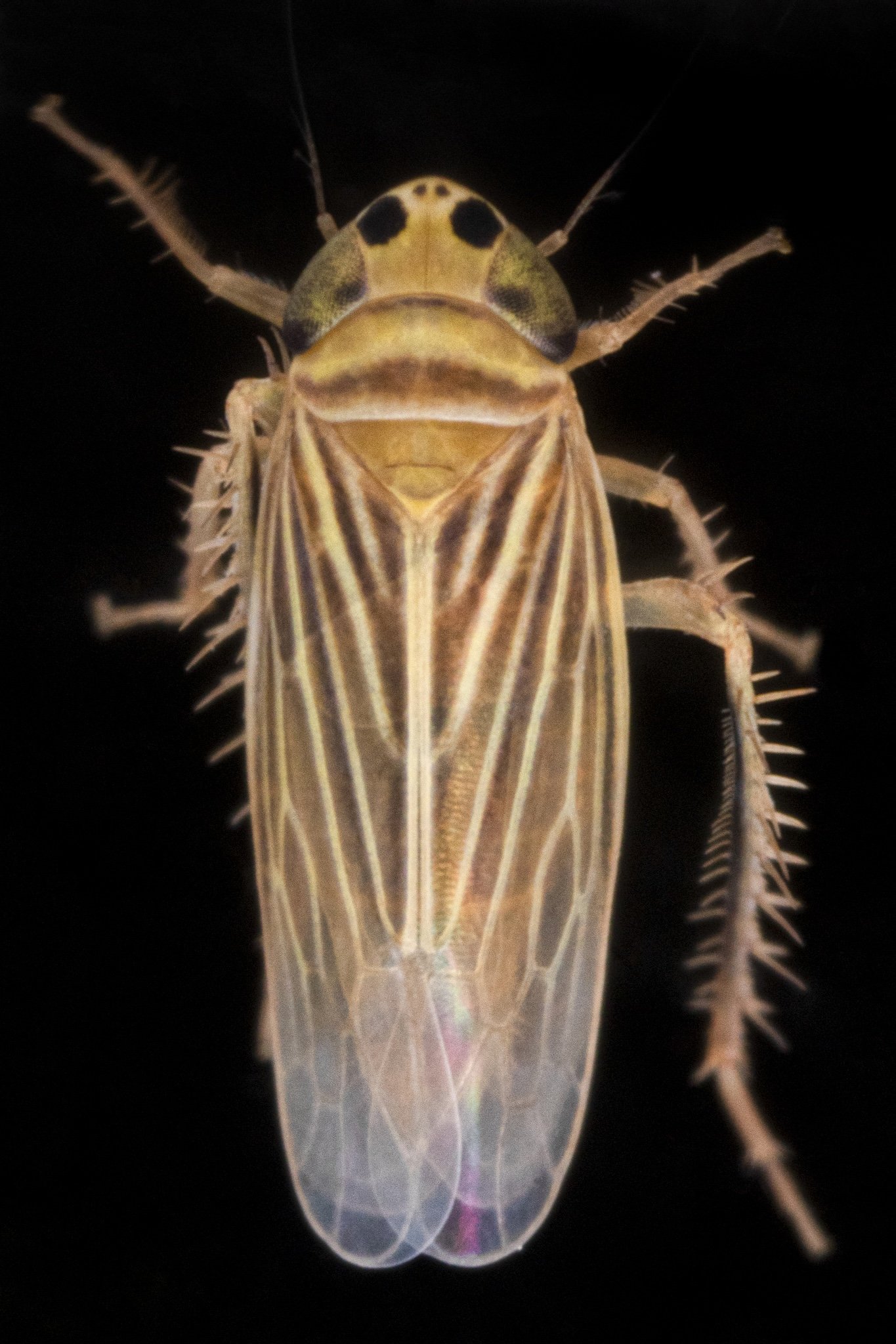
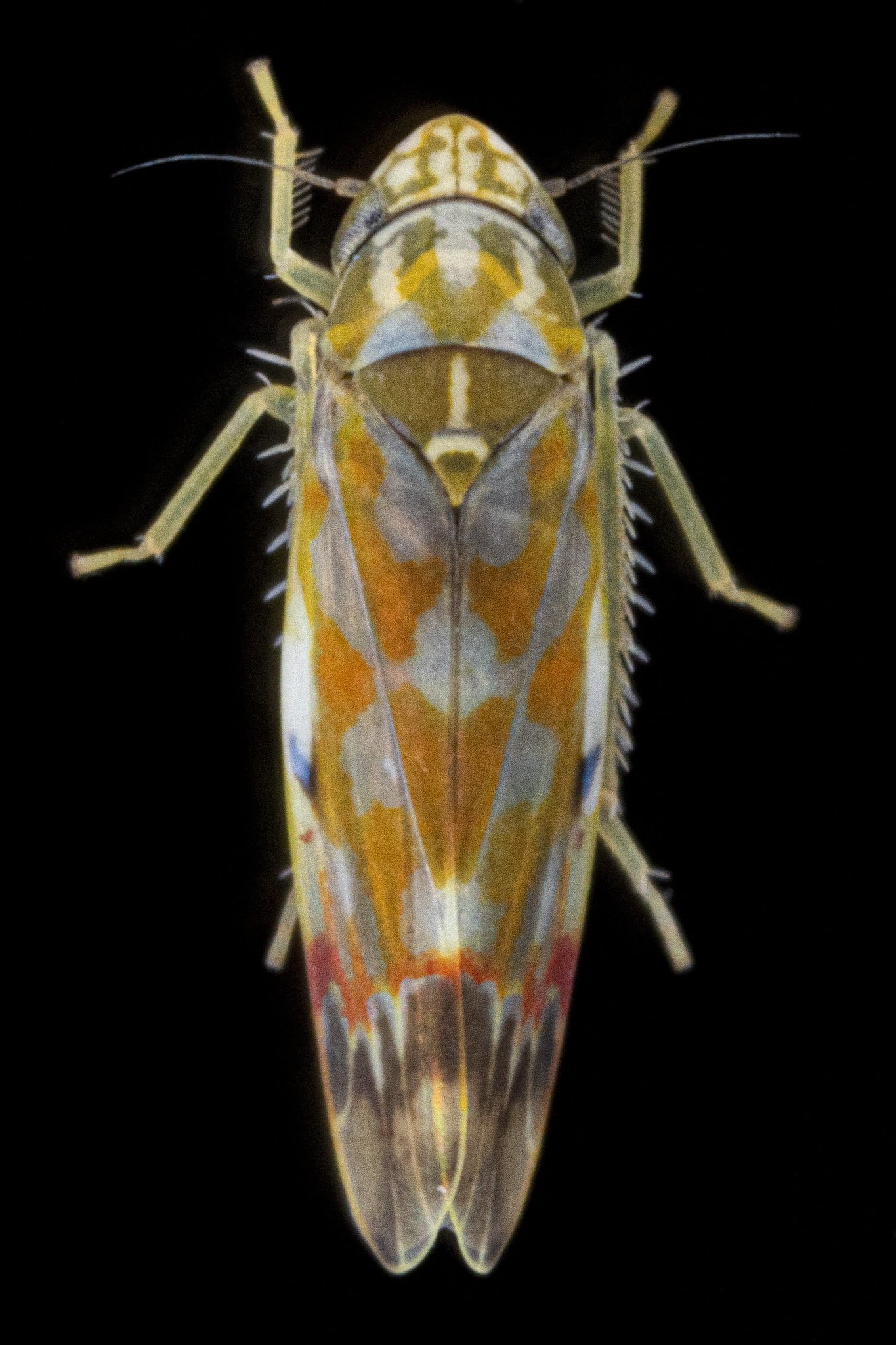
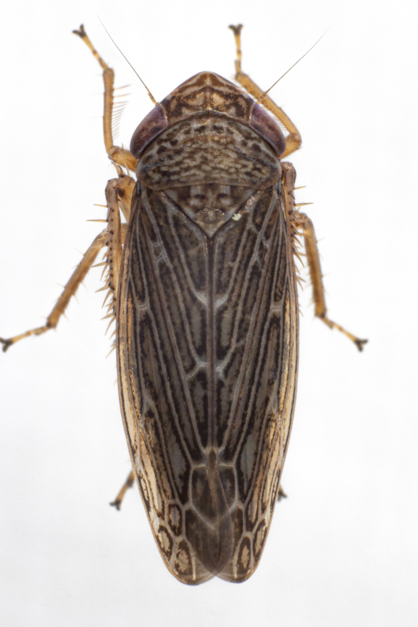
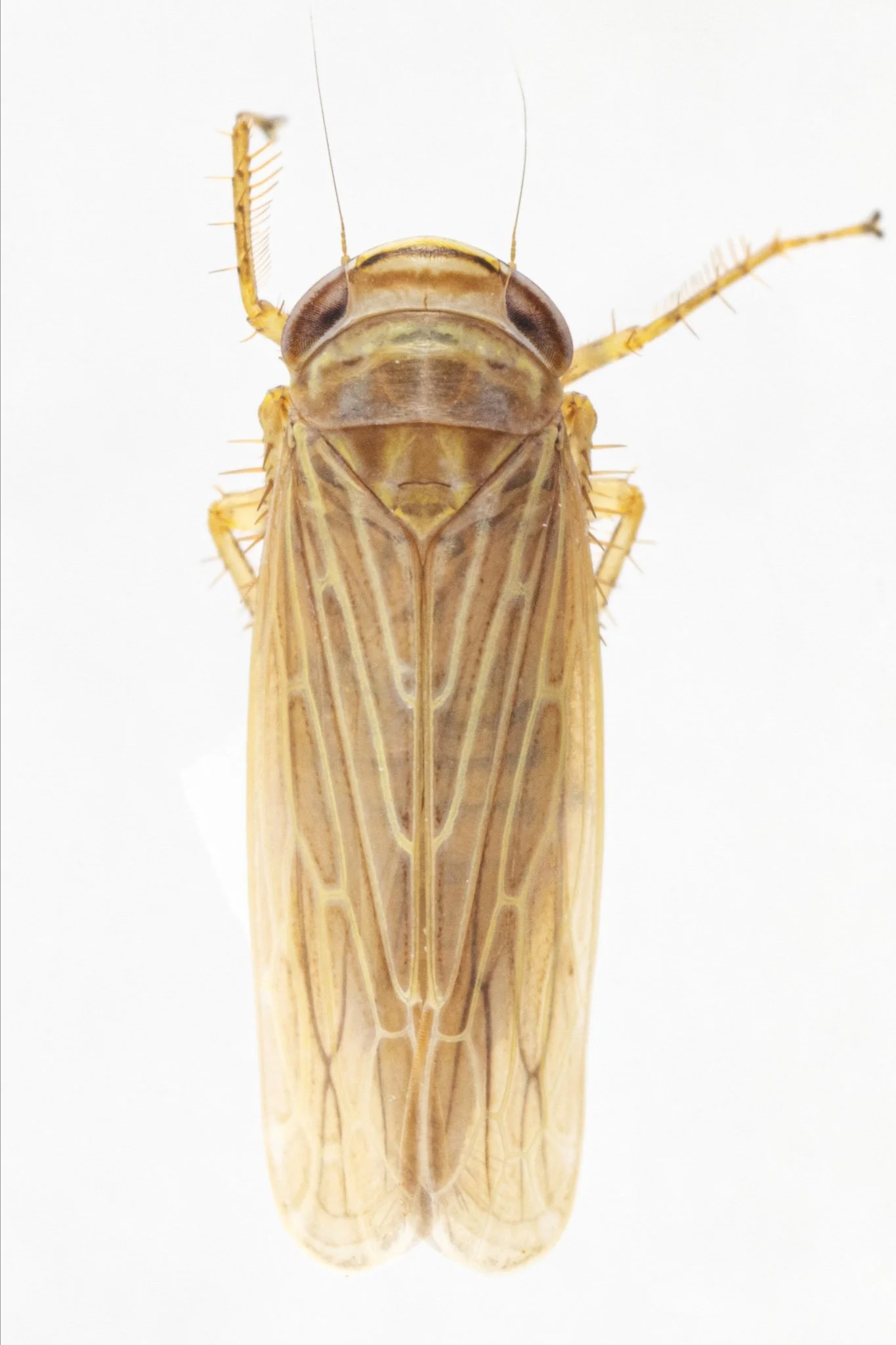
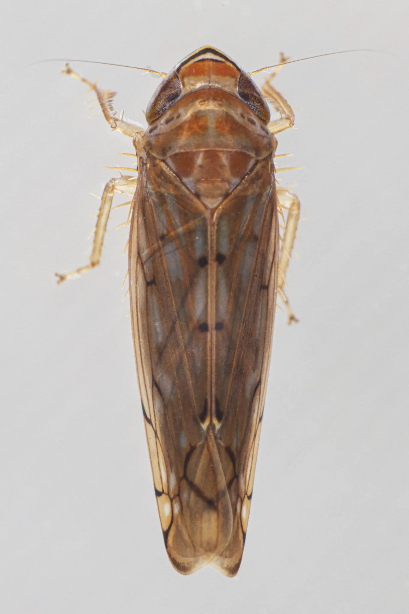
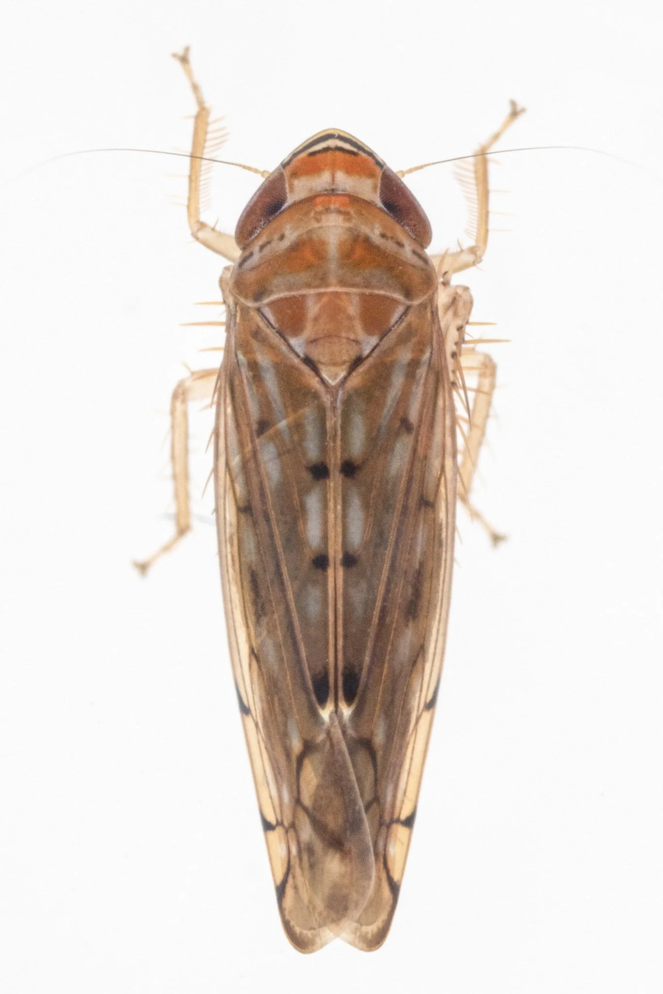
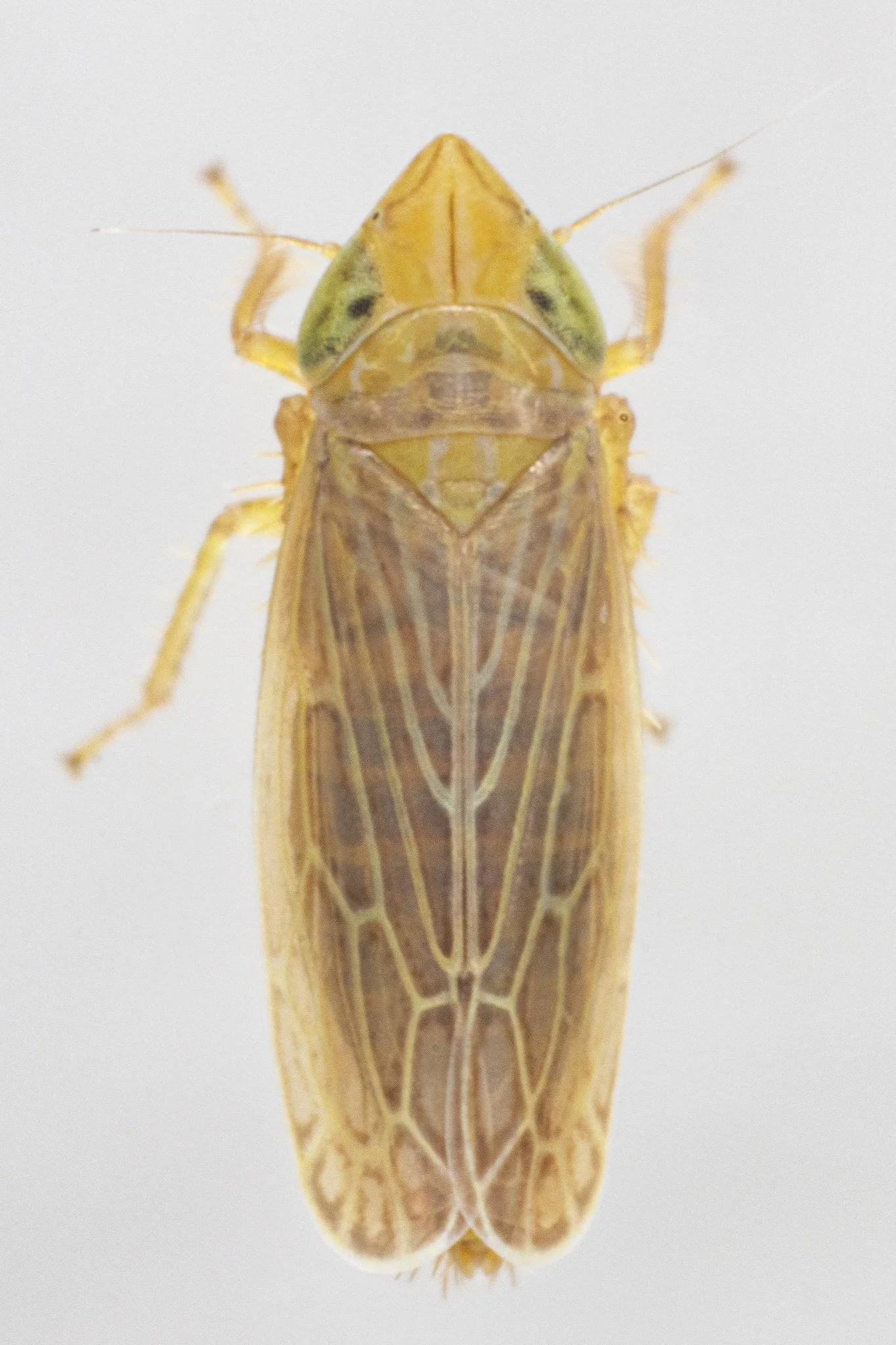
SHARPSHOOTERS
Amphigonalia cf. bispinosa
Amphigonalia gothica
Draeculacephala antica
Draeculacephala balli
Draeculacephala constricta
Draeculacephala inscripta
Draeculacephala mollipes
Draeculacephala noveboracensis
Draeculacephala robinsoni
Draeculacephala sp.
Graphocephala atropunctata
Graphocephala aurora
Graphocephala coccinea
Helochara communis
Hortensia similis
Xyphon flaviceps
Xyphon nudum
Cuerna costalis
Homalodisca insolita
Homalodisca liturata
Oncometopia orbona
MICROLEAFHOPPERS
Alebra cf. aurea
Protalebrella brasiliensis
Dikraneura arizona
Dikraneura mali
Dikraneura sp.
Dikrella cruentata
Dikrella scimitar
Forcipata cf. ancantha
Forcipata cf. calipera
Forcipata loca
Empoasca fabae
Empoasca murrayi
Kyboasca maligna
Kyboasca obrudens
Kyboasca sp.
Kybos sp.
undet.
undet.
undet.
undet.
undet.
undet.
undet.
undet.
undet.
undet.
Erasmoneura vulnerata
Erasmoneura vulnerata
Erasmoneura vulnerata
Erasmoneura sp.
Erasmoneura sp.
Eratoneura acantha
Eratoneura cf. affinis
Eratoneura cf. basilaris
Eratoneura era
Eratoneura osborni
Eratoneura parallela
Eratoneura sp.
Eratoneura sp.
Eratoneura sp.
Erythridula amabilis
Erythridula cf. aspera
Erythridula bistrata
Erythridula fumida
Erythridula cf. lawsoniana
Erythridula praecisa
Erythridula cf. rufostigmosa
Erythridula cf. stolata
Erythridula victoralis
Erythridula sp.
Erythridula sp.
Erythridula sp.
Erythridula sp.
Erythridula sp.
Erythroneura bistrata
Erythroneura calycula
Erythroneura cancellata
Erythroneura diva
Erythroneura elegans
Erythroneura festiva
Erythroneura rubra
Erythroneura tricincta
Erythroneura cf. vagabunda
Erythroneura cf. vitifex
Erythroneura vitis
Erythroneura sp.
Erythroneura sp.
Erythroneura sp.
Erythroneura sp.
Hymetta balteata
Hymetta kansasensis
Zyginama tripunctata
Empoa cf. saffrana
Empoa querci
Empoa venusta
Empoa sp.
Eupteryx flavoscuta
Ossiannilssonola australis
Ossiannilssonola sp.
Ossiannilssonola sp.
Ossiannilssonola sp.
Ribautiana unca
Typhlocyba modesta
Typhlocyba transviridis
Zonocyba pomaria
undet.
undet.
DELTOCEPHALINE LEAFHOPPERS
Acinopterus sp.
Acinopterus sp.
Acinopterus sp.
Allygidius atomarius
Allygus mixtus
Atanus perspicillatus
Athysanus argentarius
Aligia sp.
Bandara johnsoni
Colladonus clitellarius
Colladonus montanus reductus
Colladonus setaceus
Eutettix sp.
Eutettix sp.
Eutettix sp.
Eutettix sp.
Norvellina pannosa
Nurenus snowi
Ollarianus armus
Streptanus sordidus
indet.
Cicadula cyperacea
Cicadula melanogaster
Cicadula saliens
Elymana sulphurella
Calonia signata
Gloridonus sp.
undet.
Amblysellus curtisii
Amplicephalus littoralis
Amplicephalus osborni
Amplicephalus simplex
Arundanus nacreosus
Cumora furcata
Deltocephalus balli
Endria inimicus
Graminella aureovittata
Graminella fitchii
Graminella nigrifrons
Graminella plana
Graminella sonora
Graminella villica
Polyamia interrupta
Polyamia obtecta
Polyamia weedi
Sanctanus fasciatus
Hecalus sp.
Memnonia flavida
Neohecalus lineatus
Spangbergiella quadripunctata
Koebelia sp.
Limotettix nigrax
Limotettix sp.
Scleroracus anthracinus
Scleroracus plutonius
Scleroracus uhleri
Scleroracus vaccinii
Balclutha impicta
Balclutha punctata
Balclutha sp.
Macrosteles lepidus
Macrosteles parvidens
Macrosteles patruelis
Macrosteles quadrilineatus
Macrosteles slossoni
Macrosteles sp.
Macrosteles sp.
Japananus hyalinus
Lycioides condalianus
Lycioides lycioides
Arthaldeus pascuellus
Cosmotettix bilineatus
Cosmotettix delector
Cosmotettix paludosus
Verdanus abdominalis
Flexamia clayi
Flexamia sp.
Laevicephalus acus
Laevicephalus melsheimerii
Laevicephalus peronatus
Laevicephalus sylvestris
Latalus personatus
Latalus sayii
Paramesus major
Sorhoanus orientalis
Chlorotettix attenuatus
Chlorotettix balli
Chlorotettix fallax
Chlorotettix galbanatus
Chlorotettix tergatus
Chlorotettix unicolor
Chlorotettix viridius
Doleranus vividus
Paraphlepsius bifidus
Paraphlepsius carolinus
Paraphlepsius collitus
Paraphlepsius fulvidorsum
Paraphlepsius irroratus
Paraphlepsius rileyi
Paraphlepsius solidaginis
Paraphlepsius tennessus
Paraphlepsius sp.
Paraphlepsius sp.
Penthimia americana
Excultanus dorothyae
Excultanus excultus
Excultanus sp.
Texananus longipennis
Texananus spatulatus
Texananus sp.
Texananus sp.
undet.
Osbornellus auronitens
Osbornellus clarus
Osbornellus consors
Osbornellus rotundus
Osbornellus sp.
Prescottia lobata
Scaphoideus carinatus
Scaphoideus cinerosus
Scaphoideus crassus
Scaphoideus cylindratus
Scaphoideus immistus
Scaphoideus incisus
Scaphoideus cf. melanotus
Scaphoideus merus
Scaphoideus opalinus
Scaphoideus cf. titanus
Scaphytopius acutus
Scaphytopius frontalis
Scaphytopius magdalensis
Scaphytopius nigrifrons
Scaphytopius nigriviridis
Scaphytopius sp.
Stirellus bicolor
Stirellus bicolor
OTHER LEAFHOPPERS
Aphrodes makarovi
Xestocephalus brunneus
Xestocephalus fulvocapitatus
Xestocephalus similis
Xestocephalus superbus
Xestocephalus n. sp.
Carsonus sp.
Carsonus sp.
Idiocerus nervatus
Idiocerus sp.
Idiocerus sp.
Idiocerus sp.
Idiocerus sp.
Idiocerus sp.
Idiocerus sp.
Idiocerus sp.
Populicerus pallidus
Macropsis occidentalis
Oncopsis citrella
Oncopsis sobria
Oncopsis variabilis
Oncopsis variabilis
Oncopsis sp.
Reticopsis nubila
Acusana sp.
Curtara insularis
Gypona melanota
Gyponana avara
Gyponana brevita
Gyponana palma
Gyponana procera
Gyponana tubera
Gyponana sp.
Gyponana sp.
Gyponana sp.
Gyponana sp.
Gyponana sp.
Gyponana sp.
Negosiana dualis
Ponana limonea
Ponana pectoralis
Ponana puncticollis
Ponana quadralaba
Prairiana rolenta
Rugosana sp.
Rugosana sp.
Momoria sp.
Aceratagallia agricola
Agallia quadripunctata
Agalliopsis ancistra
Agalliopsis cervina
Agalliopsis novella
Agalliopsis variabilis
Neocoelidia pallida
Neocoelidia tuberculata
Nionia palmeri
TREEHOPPERS
Tylocentrus reticulatus
Platycotis vittata | ♂
Enchenopa latipes | ♂
Hadrophallus bubalus | ♂
Spissistilus festinus | ♂
Stictocephala albescens | ♀
Stictocephala diceros | ♂
Stictocephala bisonia | ♂
Stictocephala brevitylus | ♂
Stictocephala lutea | ♂
Stictocephala militaris | ♂
Stictocephala tauriniformis | ♀
Stictocephala sp. | ♂
Stictolobus borealis | ♂
Tortistilus abnorma | ♂
Tortistilus albidosparsus | ♀
undet. | ♂
Entylia carinata | ♀
Publilia concava | ♀
Atymna querci | ♂
Atymna querci | ♀
Cyrtolobus arcuatus | ♂
Cyrtolobus auroreus | ♂
Cyrtolobus fenestratus | ♂
Cyrtolobus fuliginosus | ♂
Cyrtolobus fuliginosus | ♀
Cyrtolobus fuscipennis | ♂
Cyrtolobus maculifrontis | ♂
Cyrtolobus maculifrontis | ♀
Cyrtolobus pallidifrontis | ♂
Cyrtolobus pallidifrontis | ♀
Cyrtolobus puritanus | ♂
Cyrtolobus togatus | ♂
Cyrtolobus togatus | ♀
Cyrtolobus tuberosus | ♂
Cyrtolobus tuberosus | ♀
Cyrtolobus vau | ♀♂
Smilia camelus | ♀
Smilia fasciata | ♀
Ophiderma definita | ♀
Ophiderma evelyna | ♂
Ophiderma evelyna | ♀
Ophiderma flavicephala | ♂
Ophiderma pubescens | ♂
Ophiderma salamandra | ♂
Xantholobus muticus | ♂
Xantholobus muticus | ♀
Archasia belfragei | ♂
Carynota mera | ♂
Glossonotus acuminatus
Heliria cornutula | ♂
Heliria cristata | ♀
Heliria fitchi | ♂
Heliria fitchi | ♀
Heliria gemma | ♂
Telamona collina | ♂
Telamona decorata | ♀
Telamona monticola | ♀
Telamona projecta | ♀
Telamona reclivata | ♀
Telamona stephani | ♂
Telamona tarda | ♂
Telamona tarda | ♀
Telamona tiliae | ♂
Telonaca ramona pasadena | ♀
Thelia bimaculata | ♂
Microcentrus caryae | ♂
Microcentrus perditus | ♀
SPITTLEBUGS
PLANTHOPPERS
Cixius nervosus
Haplaxius ovatus
Haplaxius ovatus
Haplaxius pictifrons
Oecleus sp.
Oecleus sp.
Oecleus sp.
Akemetopon inornatum
Isodelphax nigridorsum
Laccocera vittipennis
Liburniella ornata
Megamelus distinctus
Megamelus palaetus
Muellerianella laminalis
Muirodelphax parvulus
Penepissonotus bicolor
Pissonotus delicatus
Pissonotus marginatus
Prokelisia crocea
Prokelisia dolus
Prokelisia salina
Prokelisia salina
Spartidelphax penedetectus
Stobaera pallida
Kelisia curvata
Stenocranus brunneus
Stenocranus dorsalis
Oeclidius sp.
Acanalonia clypeata
Momar maculifrontis
Synecdoche impunctata
Bruchomorpha oculata
Nenema histrionicum
Cedusa cf. incisa
Cedusa maculata
Cedusa cf. vulgaris
Cedusa cf. woodsholensis
Omolicna uhleri
Apache degeeri
Otiocerus coquebertii
Otiocerus wolfii
Shellenius schellenbergii
Rhynchomitra microrhina
Phylloscelis pallescens
Scolops californicus
Scolops pallidus
Ormenoides venusta
Scaralina cristata
Aplos simplex
Danepteryx sp.
Danepteryx sp.
Dictyobia sp.
Dictyssa sp.